Local Service Overview

Get Ants Extermination Service in Tolar, TX

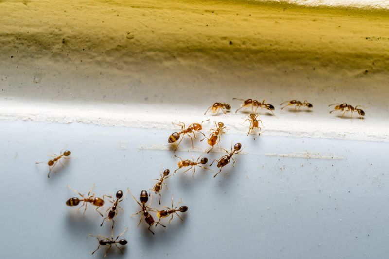
Ants extermination services for property owners in Tolar, TX, and nearby areas address ant infestations, prevent future invasions, and manage ant-related property issues through local pest control providers.

Tolar, TX

Ants extermination services provide property owners in Tolar, TX with effective solutions to manage and eliminate ant infestations. These services help maintain a comfortable living environment by preventing intrusive pests from disrupting daily activities. Additionally, they contribute to safety by reducing the risk of ant-related bites or contamination, ensuring a secure space for residents and visitors alike. Proper pest control also supports the functionality of outdoor and indoor spaces by protecting structures and preventing damage caused by ant colonies.

Choosing professional ant extermination can enhance curb appeal by keeping properties looking well-maintained and free from unsightly ant trails or nests. It also offers durability and reduced maintenance by addressing the root of the problem, minimizing the likelihood of recurring infestations. Property owners seeking peace of mind and a well-kept home or business often find these services to be a practical investment in their property's overall condition and appearance.

Get Ants Extermination Service Quotes

  • Ants Extermination Services are needed when colonies have invaded homes or commercial properties in Tolar, TX and surrounding areas.
  • Residential properties experiencing persistent ant activity may require professional extermination to effectively eliminate the infestation.
  • Businesses facing ant problems that threaten hygiene or customer experience can benefit from specialized ant control services.
  • Ants that have established nests outdoors and threaten to migrate indoors may need targeted treatment from local pest control providers.
  • In cases where ant populations are difficult to manage with over-the-counter solutions, contacting local pros ensures comprehensive eradication.

Get Ants Extermination Service Quotes

Ants Extermination Service
Ants Extermination Service
Ants Extermination Service

Ants extermination services involve the identification and elimination of ant colonies within residential, commercial, or industrial properties. Professionals utilize a variety of methods to target ants at different stages of their life cycle, including baiting systems, chemical treatments, and barrier applications. The goal is to remove existing infestations and prevent future invasions by disrupting ant trails and eliminating their nesting sites. These services are designed to address the specific behaviors and habitats of various ant species, ensuring a comprehensive approach to pest control.

The primary problem that ants extermination services aim to solve is the nuisance and potential damage caused by ant infestations. Ants can invade kitchens, pantries, and other areas where food is stored, contaminating supplies and creating unsanitary conditions. In some cases, certain ant species may also pose structural threats or trigger allergic reactions in sensitive individuals. Effective extermination helps restore comfort and hygiene within a property by reducing ant populations and discouraging their return.

Properties that typically utilize ants extermination services include single-family homes, apartment complexes, restaurants, and retail stores. Residential properties often seek treatment in kitchens, basements, or outdoor spaces where ants tend to forage. Commercial establishments, especially those involved in food preparation or storage, prioritize pest control to meet health and safety standards. Additionally, property managers and business owners in areas prone to ant activity frequently contact local pest control providers to maintain pest-free environments.

Professional ant extermination services are tailored to the specific needs of each property type and infestation level. Service providers assess the extent of the problem, identify the ant species involved, and develop targeted treatment plans. Regular inspections and follow-up treatments may be recommended to ensure long-term control. Engaging with local pest control experts can help property owners effectively manage ant problems and maintain a pest-free environment.

The overview below groups typical Ants Extermination Service projects into broad ranges so you can see how smaller, mid-sized, and larger jobs often compare in Tolar, TX.

In many markets, a large share of routine jobs stays in the lower and middle ranges, while only a smaller percentage of projects moves into the highest bands when the work is more complex or site conditions are harder than average.

Initial Inspection - The cost for an ant inspection typically ranges from $50 to $150, depending on the property size and complexity. This fee covers identifying the extent of the infestation and entry points. Local pros can provide detailed assessments to determine the necessary treatment plans.

Perimeter Treatment - Applying ant control treatments around a property usually costs between $100 and $300. The price varies based on the size of the area and the type of treatment used. Service providers may recommend ongoing treatments for persistent infestations.

Spot Treatments - Spot treatments for localized ant problems generally fall within the $50 to $200 range. These are suitable for targeting specific nests or entry points. Costs depend on the number of areas needing treatment and accessibility.

Full Property Extermination - Complete ant extermination services for a home or business typically cost between $200 and $600. The price reflects the size of the property, severity of the infestation, and treatment methods employed. Local contractors can tailor services to specific needs.

Actual totals will depend on details like access to the work area, the scope of the project, and the materials selected, so use these as general starting points rather than exact figures.

Get an Ants Extermination Service Quote

Ants Extermination services involve professionals who identify ant infestation sources and implement targeted treatment methods to eliminate colonies effectively.

Local ant extermination providers use proven techniques to address indoor and outdoor ant problems, helping to restore a pest-free environment.

Experts in ant control assess property conditions to develop customized plans that prevent future invasions and reduce ant activity.

Ants extermination services are suitable for residential and commercial properties experiencing persistent ant issues.

Service providers utilize a variety of treatment options, including baiting and barrier applications, tailored to specific ant species and infestation levels.

Contacting local ant extermination specialists ensures a comprehensive approach to managing and preventing ant problems.

Ants Extermination Service

When selecting a professional for ant extermination services in Tolar, TX, experience is a key factor to consider. Local providers often have extensive knowledge of ant behavior and common infestation patterns specific to the area, which can contribute to more effective treatment strategies. It is beneficial to review the backgrounds of different service providers to understand their familiarity with local ant species and their methods for managing infestations, helping to ensure the chosen professional has a proven track record in handling similar cases.

Clear communication and well-defined expectations are essential when working with a pest control service. Reputable local pros typically provide detailed explanations of their treatment approaches, what homeowners can expect during and after service, and any necessary follow-up actions. Establishing transparent communication helps create a mutual understanding of the scope of work, reducing potential misunderstandings and ensuring the homeowner feels informed throughout the process.

Reputable references and positive reputation within the community can serve as valuable indicators of a local ant extermination provider’s reliability. Many service providers can offer references or testimonials from previous clients in Tolar or nearby areas, giving insight into their professionalism and effectiveness. When comparing options, it is also helpful to consider how responsive and approachable the service providers are during initial contact, as good communication often reflects their overall commitment to customer service and quality work.

Get an Ants Extermination Service Quote

Property owners in Tolar, TX use Ants Extermination Service services for practical projects around their homes and businesses. The sections below highlight everyday jobs and straightforward project options.

Ants Extermination Service
Ants Extermination Service

Ants extermination services are commonly sought by property owners in Tolar, TX, who notice signs of ant activity around their homes or businesses. Common situations include finding trails of ants in kitchens, bathrooms, or other interior spaces, or discovering ant mounds outdoors near the foundation. These pests can be a nuisance and may pose concerns about hygiene and property damage, prompting residents and business owners to seek professional assistance to address the problem effectively.

In addition to visible infestations, property owners may look for ant extermination services as a preventative measure, especially during warmer months when ant activity tends to increase. Ants can invade through small cracks and gaps, making early intervention important to prevent larger colonies from establishing inside the structure. Local service providers can help identify entry points and implement treatment strategies to protect homes and commercial properties from ongoing ant issues.

Get an Ants Extermination Service Quote

How do ant extermination services work? Ant extermination services typically involve inspecting the affected area, identifying ant species and entry points, and applying targeted treatments to eliminate colonies and prevent future infestations.

Are ant treatments safe for pets and children? Most professional ant treatments are designed to be safe when applied by trained technicians, but it's advisable to follow any specific safety instructions provided by the service provider.

How long does an ant extermination treatment last? The duration of effectiveness varies depending on the treatment method and the extent of the infestation, with some services offering ongoing monitoring or follow-up options.

Can ant extermination services eliminate all types of ants? Professional exterminators can address a wide range of ant species, but effectiveness may vary based on the species and the severity of the infestation.

What should I do before a pest control service visits? It's recommended to clear the area of food and dishes, and inform the service provider of any specific concerns or known ant activity to facilitate effective treatment.

Ants Extermination Techniques - Local service providers can implement effective methods to eliminate ant infestations and prevent future invasions.

Inspection and Identification - Pros can identify ant entry points and nesting areas to develop targeted treatment plans.

Preventive Treatments - Service providers offer ongoing solutions to keep ants from returning to residential or commercial properties.

Customized Pest Control Plans - Local experts can design tailored strategies based on the severity and type of ant problem.

Ants Extermination Service

Considering Ants Extermination Service for a property in Tolar, TX? The sections above highlight common project types, practical options, and details that often shape the scope of work.

When you are ready, use the quote form to share a few details about your project. Local pros can review the basics and respond with options that match what you have in mind.

Get an Ants Extermination Service Quote

Ants Extermination Quotes

Our Trusted Partners
Cantu Pest Control
Orkin
Hawx Pest Control